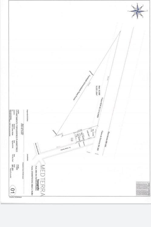
Área Total do Terreno 17.527,00m²
- Área de, aproximadamente, 1,75 hectares
- Índice Construtivo: ZE
- De esquina
- Com grande visibilidade
- Frente para a BR-285
Terreno com localização privilegiada, na BR-285, com fácil aceso ao centro da cidade. Em frente à Universidade de Passo Fundo. Grande fluxo de veículos diariamente.